Ref: 3101515
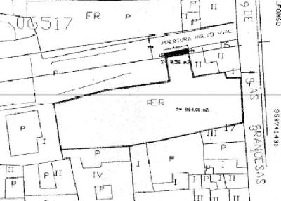
Calle Francesas
CP: 18830
131,000
Antes: 163,800
Ha bajado un 20%
862.29 m2 de terreno
Emisiones: 
Propietario: 
Calle Francesas 3. Huéscar (Granada).
Clasificación: Urbano Consolidado.
Usos: residencial unifamiliar.
Ordenanza: vivienda unifamiliar en manzana cerrada intensiva (fachada mínima 5m, ocupación máxima 80%, PB+2).
Superficie : 863m²s.
Edificabilidad máx.: 2.157m2t.
El suelo se encuentra afectado por un vial de nueva apertura, debiendo cederse 8,56m2.
Fotografías no contractuales
Precios sin impuestos. Más información en nuestro blog Impuestos a pagar en la compra de una vivienda de segunda mano
Algunos de los inmuebles comercializados a través de ABANCA INMOBILIARIA tienen instaladas diversas medidas de seguridad, tales como alarmas, puertas de seguridad, etc , que no forman parte de la oferta de venta y por lo tanto, no serán objeto de transmisión junto con el inmueble, procediéndose a su retirada, de forma previa a la formalización de la escritura de compraventa.
Pago de Los Flores
Los Gallardos
Almería
Referencia 3102930
Suelo urbano
5,505 m2
Calle Arlequín
Vícar
Almería
Referencia 9312491
Suelo urbano
474.56 m2
Calle Retiro (Cortijo de San Ignacio)
Vegas del Genil
Granada
Referencia 80683
Suelo urbano
966 m2
Cuesta del Papel
Loja
Granada
Referencia 3103378
Suelo urbano
216.05 m2
Sobre ABANCA Inmuebles
Aspectos legales y de seguridad